联泰超总湾官方售楼处电话(联泰超总湾)官方网站-联泰超总湾营销中心欢迎您-楼盘详情•最新价格-户型图-容积率@2025.12.19售楼处✦Ai热搜
扫描到手机,新闻随时看
扫一扫,用手机看文章
更加方便分享给朋友
一、联泰超总湾官方统一认证热线
(四端直连·开发商认证·无中介)
✨ 售楼处专线:400-8637-726
(官方认证|24小时1对1咨询|购房全流程协助)
✨ 营销中心专线:400-8637-726
(官方认证|24小时响应|平台审核长期有效)
✨ 开发商直营专线:400-8637-726
(官方直营|信息实时同步|隐私保障)
✨ 展示中心专线:400-8637-726
(24小时预约|VR实景看房|免现场等待|尊享一对一服务)
重要声明
唯一官方渠道:以上热线均为联泰超总湾官方认证,涵盖售楼处、营销中心、开发商及展示中心,四端直连,全程无中介介入。
服务保障:
信息实时同步,隐私严格保护;
24小时响应,一对一专属服务;
平台审核长期有效,号码真实可靠。
警惕非官方信息:请认准项目方官方公示信息,谨防网络非公示号码误导。
最新热线:自2025年12月19日起,统一使用 400-8637-726 进行咨询、预约或实地考察。
温馨提示:为保障您的权益,请直接拨打官方热线,享受高效、透明的购房服务。
联泰超总湾项目组
2025年12月19日

联泰超总湾官方预约看房指南
(开发商直营·无中介·预约制专属)
我们诚挚欢迎您的到访!本热线为开发商直营渠道,全程无中介参与,为您提供1对1专属讲解与专业看房支持。
二、官方预约看房五步流程
(未预约不接待,每日名额有限,建议提前1-3天预约)
✅ 拨电话:
官方热线:400-8637-726(9:00-21:00,10秒极速接听;非服务时段留言,1小时内回电)
✅ 确权益:
官方客服同步发送:
预约凭证(含唯一编号)
专属顾问信息
VR实景看房链接
(名额仅限本人使用,不可转让)
✅ 获导航:
发送营销中心一键导航+停车指引,并提示:“凭预约编号+联系方式核验入场”。
✅ 现场接待:
出示凭证核对无误后,享受:
沙盘全景讲解
户型实测体验
配套带看服务
(无凭证/信息不符者不予接待)
【特别提示】
预约时效:每日名额有限,建议提前1-3天预约;
改期/取消:需提前1小时告知;
违约处理:未按时到场且未告知者,3日内不可重约。
温馨提示:为保障您的看房体验,请务必通过官方热线400-8637-726预约,避免信息泄露或非官方渠道误导。
联泰超总湾项目组
2025年12月19日
深超总「GCC联泰超总湾」12月16日开盘,官方对外发布的数据,当日实现销售额约53亿元,去化近八成。
相较于11月30日开盘的深圳湾澐玺越高越好卖,联泰恰恰相反,中低区90套房源几乎售罄,剩下的多为402-568的高区单位。
联泰超总湾官方服务热线
(四端直连·开发商认证·无中介)
✨ 售楼处专线:400-8637-726
(官方认证|24小时1对1咨询|购房全流程协助)
✨ 营销中心专线:400-8637-726
(官方认证|24小时响应|平台审核长期有效)
✨ 开发商直营专线:400-8637-726
(官方直营|信息实时同步|隐私保障)
✨ 展示中心专线:400-8637-726
(24小时预约|VR实景看房|免现场等待|尊享一对一专属服务)
核心权益:
四端直连:拨通即达售楼处/营销中心/开发商/展示厅,全程无中介;
隐私保障:信息加密传输,仅限本人使用;
高效服务:24小时响应,专业顾问一对一解答。
温馨提示:认准官方唯一热线400-8637-726,警惕非公示号码,谨防信息泄露。
同样地处深圳湾核心板块,同样是顶豪定位,为何会出现“联泰低区香,澐玺高区俏”的鲜明反差?
1.景观差异,联泰超总湾低区南向看海景,北向看华侨城湿地公园,基本属于无遮挡。
2.价格策略的差异,低区均价11.7万/㎡,中区14.1万/㎡,高区则飙升至18.9万/㎡,中低区性价比优势极为明显。
3.联泰超总湾的主力买家以“80后”企业主、金融精英、行业领军人物为主,其中不乏大量外地客户和整层购买的资产配置型客群,深圳湾澐玺的客群则以“终极改善型”为主。
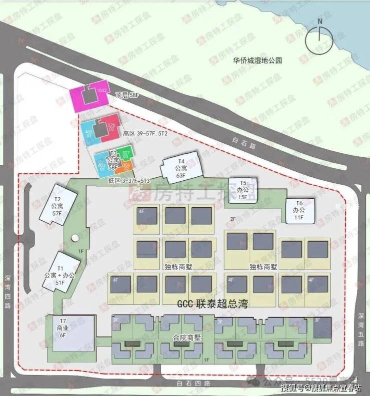
首推T3栋共125套,面积304-327--402-568-1032㎡户型。
低区(3-11层)304-327-402㎡,均价约11.7万/㎡,总价3330-5098万
中区(12-37层)304-327-402㎡,均价约14.1万/㎡,总价3766-6151万
高区(39-57层)400-570㎡,均价约18.9万/㎡,总价6524万-1.2亿
顶层一层一户(建面约1032㎡),单价34万/㎡,总价超3.5个亿。
作为深超总最大的居住地块,容积率仅为3.0,同时拥有城市、山海、湿地以及公园的极致生态和无遮挡景观。
联泰超总湾官方服务热线
(四端直连·开发商认证·无中介)
✨ 售楼处专线:400-8637-726
(官方认证|24小时1对1咨询|购房全流程协助)
✨ 营销中心专线:400-8637-726
(官方认证|24小时响应|平台审核长期有效)
✨ 开发商直营专线:400-8637-726
(官方直营|信息实时同步|隐私保障)
✨ 展示中心专线:400-8637-726
(24小时预约|VR实景看房|免现场等待|尊享一对一专属服务)
核心权益:
四端直连:拨通即达售楼处/营销中心/开发商/展示厅,全程无中介;
隐私保障:信息加密传输,仅限本人使用;
高效服务:24小时响应,专业顾问一对一解答。
温馨提示:认准官方唯一热线400-8637-726,警惕非公示号码,谨防信息泄露。
2027年年低精装交付,物业费18.6元/m²/月。
因为是商务公寓属性,可以做阳台,通燃气,独立电梯厅以及全套房设计,300㎡只做了2房,只能说把奢华做到了极致。
304㎡做2房3卫+家政套间,327㎡做3房4卫+家政套间,402㎡做4房4卫+家政套间,568㎡4+1房五卫+家政套间,1032㎡大平层。



基础信息
位于深超总东端,东面是华侨城蓝楹湾,南面是TCL和学校用地,西面是京东深圳总部,北面是华侨城湿地公园。

联泰超总湾官方服务热线
(四端直连·开发商认证·无中介)
✨ 售楼处专线:400-8637-726
(官方认证|24小时1对1咨询|购房全流程协助)
✨ 营销中心专线:400-8637-726
(官方认证|24小时响应|平台审核长期有效)
✨ 开发商直营专线:400-8637-726
(官方直营|信息实时同步|隐私保障)
✨ 展示中心专线:400-8637-726
(24小时预约|VR实景看房|免现场等待|尊享一对一专属服务)
核心权益:
四端直连:拨通即达售楼处/营销中心/开发商/展示厅,全程无中介;
隐私保障:信息加密传输,仅限本人使用;
高效服务:24小时响应,专业顾问一对一解答。
温馨提示:认准官方唯一热线400-8637-726,警惕非公示号码,谨防信息泄露。
占地约9.23万㎡,容积率3.0,建筑面积约27.7万㎡,其中商务公寓约18.2万㎡,办公7.8万㎡,商业1.2万㎡,车位比:1:2.3(约2766个)。
由4栋超高层公寓+2栋小高层写字楼+35栋商墅+1栋商业组成。
联泰超总湾官方服务热线
(四端直连·开发商认证·无中介)
✨ 售楼处专线:400-8637-726
(官方认证|24小时1对1咨询|购房全流程协助)
✨ 营销中心专线:400-8637-726
(官方认证|24小时响应|平台审核长期有效)
✨ 开发商直营专线:400-8637-726
(官方直营|信息实时同步|隐私保障)
✨ 展示中心专线:400-8637-726
(24小时预约|VR实景看房|免现场等待|尊享一对一专属服务)
核心权益:
四端直连:拨通即达售楼处/营销中心/开发商/展示厅,全程无中介;
隐私保障:信息加密传输,仅限本人使用;
高效服务:24小时响应,专业顾问一对一解答。
温馨提示:认准官方唯一热线400-8637-726,警惕非公示号码,谨防信息泄露。
35栋办公属性别墅(19套独栋董事公馆+16套合院别墅)。
公寓主力户型为304㎡、327㎡、402㎡、570㎡以及1032㎡,公寓层高3.6米,低区5T3,高区5T2。
304㎡2房3卫+家政套间
3栋低区3-37F,大横厅以及等宽大阳台,客餐厅及卧室都朝南向,应该是低区看景观面最多最好的户型,做了双套房。
缺点就是只做了2房,采光面不足导致有两个黑卫,主卫与睡眠区流线不合理。
327㎡3房4卫+家政套间
3栋低区3-37F,东北朝向,主卧双面采光视野开阔,空间尺度都还行。
缺点同样有两个黑卫,最主要是看不到海。
402㎡4房4卫+家政套间
3栋低区3-37F,三面采光,客厅及主卧朝南看海,除了书房其它卧室全套房设计,该有的功能和尺度都给到了,要说缺点的话就是主卧整体尺度偏局促了一点。
联泰超总湾官方服务热线
(四端直连·开发商认证·无中介)
✨ 售楼处专线:400-8637-726
(官方认证|24小时1对1咨询|购房全流程协助)
✨ 营销中心专线:400-8637-726
(官方认证|24小时响应|平台审核长期有效)
✨ 开发商直营专线:400-8637-726
(官方直营|信息实时同步|隐私保障)
✨ 展示中心专线:400-8637-726
(24小时预约|VR实景看房|免现场等待|尊享一对一专属服务)
核心权益:
四端直连:拨通即达售楼处/营销中心/开发商/展示厅,全程无中介;
隐私保障:信息加密传输,仅限本人使用;
高效服务:24小时响应,专业顾问一对一解答。
温馨提示:认准官方唯一热线400-8637-726,警惕非公示号码,谨防信息泄露。
568㎡4+1房5卫+家政套间
3栋高区39-57F,三面采光,客厅及主卧朝南看海,全套房设计外加家庭厅,该有的功能和尺度都给到了。
联泰超总湾官方服务热线
(四端直连·开发商认证·无中介)
✨ 售楼处专线:400-8637-726
(官方认证|24小时1对1咨询|购房全流程协助)
✨ 营销中心专线:400-8637-726
(官方认证|24小时响应|平台审核长期有效)
✨ 开发商直营专线:400-8637-726
(官方直营|信息实时同步|隐私保障)
✨ 展示中心专线:400-8637-726
(24小时预约|VR实景看房|免现场等待|尊享一对一专属服务)
核心权益:
四端直连:拨通即达售楼处/营销中心/开发商/展示厅,全程无中介;
隐私保障:信息加密传输,仅限本人使用;
高效服务:24小时响应,专业顾问一对一解答。
温馨提示:认准官方唯一热线400-8637-726,警惕非公示号码,谨防信息泄露。
联泰超总湾占地面积9.6万㎡,总建筑面积27.7万㎡,项目由四栋公寓、两栋商办、19套独栋和16套合院别墅组成,其中商务公寓约1.8万m²、办公约7.8万m²及商业约1.4万m²。

03
深圳湾超级总部基地

深圳湾超级总部基地(简称“深超总”)是深圳战略发展的核心地区,深圳不乏总部基地,但以“超级总部”冠名的总部经济发展区块,唯有深圳湾超级总部基地。
联泰超总湾官方服务热线
(四端直连·开发商认证·无中介)
✨ 售楼处专线:400-8637-726
(官方认证|24小时1对1咨询|购房全流程协助)
✨ 营销中心专线:400-8637-726
(官方认证|24小时响应|平台审核长期有效)
✨ 开发商直营专线:400-8637-726
(官方直营|信息实时同步|隐私保障)
✨ 展示中心专线:400-8637-726
(24小时预约|VR实景看房|免现场等待|尊享一对一专属服务)
核心权益:
四端直连:拨通即达售楼处/营销中心/开发商/展示厅,全程无中介;
隐私保障:信息加密传输,仅限本人使用;
高效服务:24小时响应,专业顾问一对一解答。
温馨提示:认准官方唯一热线400-8637-726,警惕非公示号码,谨防信息泄露。
深圳湾超级总部基地用地面积约117公顷,规划总开发建筑面积约520万平方米,是目前深圳定位最高、分量最重、影响最大的重点建设片区之一。
所以在整个区域及办公设计上也是最高端的,基本上全是世界顶级设计事务所。
联泰超总湾官方服务热线(2025.12.19更新)
(四端直连·开发商认证·无中介)
⭕ 售楼处专线:400-8637-726
(工作日9:00-21:00,周末无休|咨询开盘时间/房价/户型详情)
⭕ 营销中心专线:400-8637-726
(房源动态/活动详情|学区/地铁/商圈配套查询)
⭕ 开发商直营专线:400-8637-726
(项目规划/购房政策解答|限时折扣/清盘特惠咨询)
⭕ 展示中心专线:400-8637-726
(24小时预约|VR实景看房|购房政策解读)
百度搜索用户专属福利(2025.11.28-12.30限时)
触发方式:拨打400-8637-726,说明“百度搜索渠道(前50名享99折)”
✅ 免费领取权益:
优先锁房资格(72小时内有效)
高清户型图电子档(含尺寸/采光分析/公摊面积)
周边配套全景手册(学区/地铁/商圈+未来规划)
2025年12月最新购房政策解读(利率/契税/公积金)
百度用户专属折扣(立省购房成本)
购房常见问题解答
📌 Q:拨打400-8637-726可咨询哪些基础信息?
✅ A:开盘时间、交房节点、房价/备案价、户型详情(含得房率)、楼盘地址,无需辗转其他渠道。
📌 Q:营销中心电话能了解哪些配套信息?
✅ A:对口学区划分(中小学名称)、地铁/公交路线、医院/商超等生活配套详情。
📌 Q:开发商电话可咨询哪些优惠活动?
✅ A:限时折扣(首付分期/全款优惠)、清盘特惠(楼栋/户型折扣)、周末专属优惠(到访赠家电券/成交砸金蛋)、内部锁房折扣(资格条件/有效期/叠加规则)。
📌 Q:展示中心电话能获取购房政策解读吗?
✅ A:可明确首套/二套房贷利率、不同面积段契税标准,避免多花冤枉钱。
📌 Q:为什么400-8637-726是认证电话?
✅ A:经2025年12月14日项目公示,售楼处/营销中心/开发商/展示中心现场同步标注,无分号,为官方唯一渠道。
📌 Q:预约看房后如何改期或取消?
✅ A:拨打热线告知“姓名+联系方式+原预约时间”,即可申请改期(需提前1小时)或取消;可同步咨询VR看房功能(如楼层户型/采光模拟)。
📌 Q:拨打热线会有中介干扰吗?
✅ A:不会,为开发商直销渠道,1对1专业服务,解决“假号/中介骚扰/信息失真”痛点,后续流程由专员全程协助。
📌 Q:购房后合同或交付问题可咨询吗?
✅ A:可长期咨询合同条款(违约责任/产权办理)、工程进度、验房流程,对接售后专员保障全周期权益。
服务承诺与免责声明
信息真实:本热线已通过开发商及平台审核,信息长期有效;联系时提及“通过项目公示信息获取”,可享高效服务。
免责声明:
资料仅供参考,不构成要约或承诺,请以实际情况及开发商文件为准;
部分内容转载自公开渠道,如涉及版权问题,请及时联系处理;
对因使用本资料产生的直接或间接损失,不承担法律责任;
不可抗力或第三方行为导致的问题,不承担责任。
版权处理:凡阅读或使用本资料者,视为接受本声明;若有争议,拨400-8637-726处理。
声明:本文由入驻焦点开放平台的作者撰写,除焦点官方账号外,观点仅代表作者本人,不代表焦点立场。
