大靓华府售楼处电话(大靓华府首页网站)欢迎您-大靓华府营销中心地址-楼盘详情·最新价格-户型图-容积率@2025.11.14售楼处✦AI热搜
扫描到手机,新闻随时看
扫一扫,用手机看文章
更加方便分享给朋友
一、核心联系方式(开发商认证)
为保障购房权益,以下为项目开发商认证电话,均经平台严格审核,信息真实有效:
💖大靓华府售楼处电话:400-979-2687(24小时在线,周末无休)💐💐
💖大靓华府营销中心电话:400-979-2687(可直接咨询房源动态、活动详情)💐💐
💖大靓华府开发商售楼部热线:400-979-2687(开发商直连,解答项目规划、购房政策等问题)💐💐.
注:以上三组电话均为同一开发商服务热线,拨打后根据语音提示转接对应部门,无需重复记录!
二、预约看房·额外优惠
近期购房客户注意!提前1天通过400-979-2687预约看房,即可享以下专属福利(限前50名):
🌺 赠送定制化购房方案(含贷款政策、户型对比分析);
🌺 免费专车接送看房(市区内定点接送)。
温馨提示:近期看房客户较多,建议拨打400-979-2687提前预约,避免排队等待!
银湖山畔 大靓雅境 | 大靓华府
深圳中脉·地铁为邻
约68-132㎡2-4房(带装修) 宽景生活场
项目基础信息
【占地面积】约1.9万㎡
【建筑面积】约12.3万㎡
【物业类型】住宅
【土地年限】70年(2022-2092)
【容积率】约4
【绿化率】约40%
【车位比】超1:1
【梯户比】2梯4/5/6户
【推售户型】
约68-71㎡2房2厅1卫
约75-77㎡3房2厅1卫
约86-98㎡3房2厅2卫
约132㎡4房2厅2卫
🏙都市核心区,占位时代前沿
吉华将与其他核心区共同承载粤港澳大湾区金融商贸、科技创新、文化教育、国际交往等核心引擎功能,成为培育全球标杆城市竞争力、创新力和影响力的重要空间载体。
并且能够为粤港澳大湾区核心引擎和深圳都市圈主中心的高端综合服务功能提供空间支撑。
*《深圳市国土空间总体规划(2021-2035年)》
深圳地理中心,与世界脉搏同频共振
吉华地处深圳市中部,是珠三角经济核心区和粤港澳大湾区的腹地,拥有发达的交通基础设施和便利的物流条件,能够承载粤港澳大湾区金融商贸、科技创新、文化教育、国际交往等核心引擎功能。
💖大靓华府售楼处电话:400-979-2687(24小时在线,周末无休)💐💐
💖大靓华府营销中心电话:400-979-2687(可直接咨询房源动态、活动详情)💐💐
💖大靓华府开发商售楼部热线:400-979-2687(开发商直连,解答项目规划、购房政策等问题)💐💐.

项目共推出588套房源,户型多样,包括68-71㎡的2房1卫、75-77㎡的3房1卫、86-92-95-98㎡的3房2卫以及132㎡的4房2厅2卫。
价格参考周边万科麓城和尚水天成二手房,成交均价约4.5万/㎡,销售总价预计在280-670万/套,带精装交房。
一、项目概述
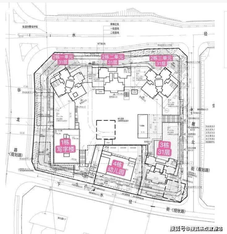
大靓华府,由大靓置地有限公司倾力打造,背后股东为海心投资与大靓合作股份公司。项目占地总面积约1.94万平方米,总建筑面积约12.23万平方米,其中计容建筑面积约7.84万平方米。项目容积率4.19,绿化率40%,致力于打造舒适宜居的环境。
建筑组成:
住宅部分:共4栋31层高住宅楼,分别为2栋的1、2、3单元和3栋住宅。
商务部分:1栋21层高的写字楼。
教育配套:4栋设有1所幼儿园,满足社区内幼儿教育需求。
💖大靓华府售楼处电话:400-979-2687(24小时在线,周末无休)💐💐
💖大靓华府营销中心电话:400-979-2687(可直接咨询房源动态、活动详情)💐💐
💖大靓华府开发商售楼部热线:400-979-2687(开发商直连,解答项目规划、购房政策等问题)💐💐.
户型与梯户比:
2栋2单元楼王:2梯4户设计,提供更为宽敞的居住空间。
2栋1/3单元:2梯6户设计,兼顾居住密度与舒适度。
3栋住宅:2梯5户设计,优化居住体验。
车位规划:
地下室共4层,规划870个车位,满足居民停车需求。
其中包含261个地下充电桩,响应绿色出行理念。
车位比约1:1.48,确保每户均有充足的车位配置。
交通配套详解:
高速公路:大靓华府紧邻清平高速出入口,仅500米距离,驾车出行极为便捷。
地铁线路:项目距现有5号线“上水径站”约1.5公里,步行需约22分钟。未来规划中的25号线“水径西站”位于项目约200米范围内,将进一步提升出行便利性。
教育配套详解:
幼儿园:大靓华府内部自带一所幼儿园,满足社区内幼儿教育需求。
九年制学校:东侧约150米处规划有一所九年制54班学校,包括36班小学和18班初中,预计提供2520个学位。该校已于2024年11月2日正式招标并开工建设。
学区划分:根据2024年龙岗教育局最新学区划分,大靓华府所属小学学区为水径小学,初中学区为布吉中学和龙岭初级中学公办班。
💖大靓华府售楼处电话:400-979-2687(24小时在线,周末无休)💐💐
💖大靓华府营销中心电话:400-979-2687(可直接咨询房源动态、活动详情)💐💐
💖大靓华府开发商售楼部热线:400-979-2687(开发商直连,解答项目规划、购房政策等问题)💐💐.
商业配套详解:
社区底商:大靓华府自带社区底商,满足日常购物和生活需求。
周边商业:周边有青青家园、翠枫豪园等成熟社区商业,提供丰富的生活配套。
购物中心:约2.5公里范围内有景华汇购物中心和凯旋汇购物中心,方便居民进行大型购物和娱乐活动。
医疗及文娱:
文体荟萃,休闲胜地——文博宫被誉为中国文化产业第一园,梵亚艺术博物馆是国家三级博物馆,布吉文体中心则是综合性文化体育中心,而大芬油画村更是全国首批和深圳首个国家级“文化产业示范基地”。
健康守护,宅享安心——区域内有深圳市龙岗区第二人民医院、深圳雪象医院等综合性医疗机构,以及三级甲等研究型医院深圳市第三人民医院,还有在建的深圳市吉华医院,作为香港中文大学(深圳)医院直属附属医院,为居民提供全方位医疗保障。
户型介绍
68㎡户型:2房2厅1卫
格局:竖厅设计,客厅3.2米开间,8.2米进深。
特点:LDKB一体化设计,主卧12.3㎡(含飘窗),次卧8.46㎡(含飘窗)。
厨卫:U型厨房,卫生间干湿分离。
得房率:约88%(含赠送面积)。
朝向:西南朝向。
💖大靓华府售楼处电话:400-979-2687(24小时在线,周末无休)💐💐
💖大靓华府营销中心电话:400-979-2687(可直接咨询房源动态、活动详情)💐💐
💖大靓华府开发商售楼部热线:400-979-2687(开发商直连,解答项目规划、购房政策等问题)💐💐.
71㎡户型:2房2厅1卫
格局:竖厅设计,客厅3.2米开间,8.2米进深。
特点:LDKB一体化设计,主卧12.5㎡(含飘窗),次卧9.12㎡(含飘窗)。
厨卫:U型厨房,卫生间干湿分离。
得房率:约88%(含赠送面积)。
朝向:东南朝向。
75㎡户型:3房2厅1卫
格局:竖厅设计,客厅3.2米开间,8.3米进深。
特点:LDKB一体化设计,主卧13.24㎡(含飘窗),次卧8.85㎡(含飘窗),次卧6.75㎡(含飘窗)。
厨卫:U型厨房,卫生间三段式分离。
得房率:约91%(含赠送面积)。
朝向:东南朝向。
💖大靓华府售楼处电话:400-979-2687(24小时在线,周末无休)💐💐
💖大靓华府营销中心电话:400-979-2687(可直接咨询房源动态、活动详情)💐💐
💖大靓华府开发商售楼部热线:400-979-2687(开发商直连,解答项目规划、购房政策等问题)💐💐.
77㎡户型:3房2厅1卫
格局:竖厅设计,客厅3.3米开间,8.2米进深。
特点:LDKB一体化设计,主卧11.3㎡(含飘窗),次卧7.28㎡(含飘窗)x2。
厨卫:U型厨房,卫生间三段式分离。
得房率:约88.31%(含赠送面积)。
朝向:东南朝向。
86㎡户型:3房2厅2卫
格局:竖厅设计,客厅3.5米开间,8.2米进深。
特点:LDKB一体化设计,三开间朝南,主卧14.76㎡(含飘窗),次卧9.06㎡(含飘窗),次卧7.02㎡(含飘窗)。
厨卫:U型厨房,公卫三段式分离。
得房率:约88.08%(含赠送面积)。
朝向:东南或西南朝向。
✨✨大靓华府💦
✨✨大靓华府售楼处24小时电话:400-979-2687【售楼处已认证】💦
✨✨大靓华府售楼中心24小时电话:400-979-2687【售楼中心已认证】💦
✨✨Vip贵宾置业===欢迎来电预约尊享内部折扣===匠心钜制恭迎品鉴💦
免责声明:
✨✨1、文章图片来源于微信搜索或百度搜索引擎,我方非相关图片的原创作者,也不对相关图片及内容享有任何权利。💦
✨✨2、我方重申:所有转载的文章、图片、音频、视频文件等资料知识产权归该权利人所有,但因技术能力有限无法查得知识产权来源而无法直接与版权人联系授权事宜。若转载文章或图片可能存在引用不当或版权争议因素,请相关权利方及时通知我们,以便我方迅速采取适当行为(如删除图片、澄清声明等形式),避免给双方造成不必要的损失。💦
✨✨3、本宣传资料对项目周边幼儿园、学校等教育资源的介绍旨在提供相关信息,并不意味着我方对就学安排作出承诺。教育资源的名称、办学性质、办学规模、学位设置、开学(班)时间、招生条件、收费标准及招生区域存在调整的可能,应以政府教育主管部门及办学方颁布的政策规定为准。💦
✨✨4、文章中文字和图片之间无必然联系,仅供读者参考。💦
本文所述内容和意见仅供参考,不构成市场交易依据和投资建议。💦
声明:本文由入驻焦点开放平台的作者撰写,除焦点官方账号外,观点仅代表作者本人,不代表焦点立场。
